Search Results: melissa
Hurricane Melissa's trail of destruction in Jamaica - 1 - m read
Nearly 15,000 people in shelters and about 77% of the island remain without electricity
Gulf News - World - 2 minutes ago
Gulf News - World - 2 minutes ago
Hurricane Melissa impacts Bahamas, US military may assist disaster efforts
Stars and Stripes - World - 3 minutes ago
Hurricane Melissa kills at least 25 in Haiti, leaves path of destruction in Jamaica and Cuba
The storm left Jamaica with widespread damage and power outages
The Globe and Mail - World - 8 minutes ago
13 years ago, Hurricane Sandy devastated Jamaica before turning north and hitting the East Coast of the United States. Shaun Donovan, the chair of the Obama administration's Hurricane Sandy Rebuilding Task Force, joins "The Daily Report" to discuss the approach to rebuilding after devastation.
CBS News - Top Stories - 15 minutes ago
Hurricane Melissa live: 'Catastrophic' storm moves through the Bahamas
Hurricane Melissa is expected to move across the Bahamas on Wednesday evening
Independent UK - US News - 17 minutes ago
Hurricane Melissa kills 25 in southern Haiti, heads toward the Bahamas -- 1 min read
The powerful storm has battered the Caribbean, leaving devastation in Haiti, triggering mass evacuations in the Bahamas, and prompting hurricane warnings across the region
First Post - Top Stories - 23 minutes ago
Storm leaves nearly 15,000 people in shelters and some 540,000 without power
The Globe and Mail - World - 26 minutes ago
Avoid travel to parts of Caribbean as Hurricane Melissa storms through region, GAC says
The federal government is advising Canadians to avoid travelling to certain areas in the Caribbean as Hurricane Melissa rips through the region.
CBC News - World - 39 minutes ago
The federal government is advising Canadians to avoid travelling to certain areas in the Caribbean as Hurricane Melissa rips through the region.
CBC News - Politics - 44 minutes ago
25 dead in Haiti as Hurricane Melissa continues destructive path
The ‘storm of a century’ has torn through the Caribbean, with Jamaica, Haiti and Cuba worst affected
Independent UK - US News - 48 minutes ago
Meteorologist Has Mortifying On-Camera Moment While Flying Through Eye Of Hurricane Melissa
Huffington Post - Top Stories - 56 minutes ago
At least 25 dead in Haiti as Hurricane Melissa continues destructive path
The ‘storm of a century’ has torn through the Caribbean, with Jamaica, Haiti and Cuba worst affected
Independent UK - Top Stories - 56 minutes ago
At least 30 killed after 'unprecedented' Hurricane Melissa ravages through Caribbean
The storm made landfall in Cuba in the early hours of Wednesday morning before heading towards the Bahamas.
Sky News - Sports - 57 minutes ago
Jamaica unaware how many Hurricane Melissa victims are dead, missing after 'storm of the century'
Just four people are confirmed dead on the island.
New York Post - World - 1 hour ago
Hurricane Melissa left infrastructure 'severely compromised,' say Jamaican officials
CBC News - World - 1 hour ago
Hurricane Melissa leaves trail of devastation in Jamaica
Hurricane Melissa, a monster Category 5 storm, caused catastrophic destruction in Jamaica. Homes were torn apart and streets were inundated with water. Some of the hardest hit communities are impossible to reach. The massive storm made a second landfall in Cuba, before taking aim at the Bahamas. NBC News’ George Solis is there.
NBC News - Technology - 1 hour ago
Hurricane Melissa brings concern, pride for Chicagoans with ties to the Caribbean
The storm left widespread destruction and at least dozens of deaths in its path. In Chicago, people are looking for ways to help.
Chicago Sun-Times - US News - 1 hour ago
How to help those impacted by Hurricane Melissa
The San Diego Union-Tribune - Top Stories - 1 hour ago
Hurricane Melissa blamed for dozens of deaths as Cuba, Haiti, Jamaica assess damage
Hurricane Melissa brought dangerous floods and a storm surge to Cuba on Wednesday after leaving Jamaica with widespread power outages and causing flooding that killed at least 23 people in Haiti, officials say.
CBC News - Top Stories - 1 hour ago
Guardian UK - World - 1 hour ago
Video -- Cuban streets underwater and Bahamas evacuated: the aftermath of Hurricane Melissa
Guardian UK - Top Stories - 1 hour ago
Hurricane Melissa weakens to Category 1 storm over Bahamas
Hurricane Melissa weakened to a Category 1 storm as it begins to batter Bahamas after pummeling Cuba and Jamaica. Follow DW for more.
Deutsche Welle - World - 1 hour ago
Hurricane Melissa kills at least 30 across the Caribbean as it heads toward the Bahamas
Follow NBC News live coverage of Hurricane Melissa as it makes landfall in Cuba after hitting Jamaica.
NBC News - Top Stories - 1 hour ago
Hurricane Melissa death toll rises as 'dangerous storm surge' expected in Bahamas
Guardian UK - Top Stories - 1 hour ago
'Unimaginable' destruction of Hurricane Melissa
'It was just this most unearthly noise... almost like an express train.'
Sky News - World - 1 hour ago
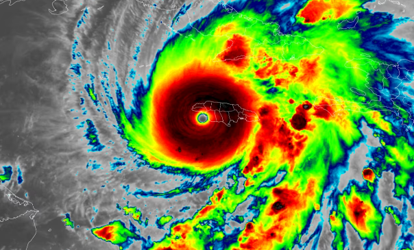
These maps detail Hurricane Melissa's track
Hurricane Melissa on Tuesday became the strongest hurricane to ever make landfall in the Atlantic Ocean.
Boston Globe - Top Stories - 1 hour ago
The Latest: Hurricane Melissa impacting southeastern Bahamas after dozens killed across Caribbean
Toronto Star - World - 1 hour ago
King Charles says he is "profoundly saddened" by damage across the Caribbean, as the storm barrels toward The Bahamas.
BBC News - World - 2 hours ago
Hurricane Melissa leaves trail of destruction across Cuba, Haiti and Jamaica
The Mercury News - Environment - 2 hours ago
Hurricane Melissa kills over two dozen in Caribbean after catastrophic landfalls in Jamaica, Cuba
Fox News - Top Stories - 2 hours ago
Jamaica in 'recovery mode' as Melissa causes significant damages to western region
CTV News - Top Stories - 2 hours ago
UK providing £2.5m in humanitarian support to Jamaica after Hurricane Melissa
UK experts have also been deployed to the region to assist with the disaster response and recovery.
Evening Standard - Politics - 2 hours ago
Toronto Star - Top Stories - 2 hours ago
'Hurricane Hunters' who flew into eye of Melissa had to turn back due to turbulence
ABC News - Top Stories - 2 hours ago
Efforts underway in Jamaica to get supplies on ground after Hurricane Melissa
ABC News - World - 2 hours ago
'Never seen anything like this': The aftermath of Hurricane Melissa
The monster storm has caused widespread destruction, where roofless homes, fallen utility poles and water-logged furniture dominated the landscape.
Sydney Morning Herald - Top Stories - 2 hours ago
In Hurricane Melissa's wake, Jamaican expats can only wait and pray
The Straits Times - World - 2 hours ago
Hurricane Melissa kills dozens in Haiti and Jamaica, strikes Cuba as it heads toward the Bahamas
As of Wednesday, Hurricane Melissa has killed dozens of residents and caused widespread devastation across Jamaica, Haiti, and now Cuba -- now on its way to the Bahamas.
One America News Network - Top Stories - 2 hours ago
Tampa Bay groups mobilize to help Jamaicans hit by Hurricane Melissa
Tampa Bay Times - Top Stories - 2 hours ago
Hurricane Melissa hits Cuba after killing dozens in Haiti, Jamaica
'Monstrous' Hurricane Melissa crosses Cuba after killing dozens in Haiti, Jamaica, and the Dominican Republic.
Aljazeera - Top Stories - 2 hours ago
Hundreds of thousands evacuate as Hurricane Melissa hits eastern Cuba
SANTIAGO DE CUBA: Hundreds of thousands of people were evacuated in eastern Cuba, and a hurricane warning was in effect for the provinces of Granma, Santiago de Cuba, Guantanamo, Holguin and Las Tunas as
Channel NewsAsia - Top Stories - 2 hours ago
Drone video shows Hurricane Melissa damage in Jamaica
Aerial footage shows extensive flooding and damage to buildings across western Jamaica, caused by the record-breaking Hurricane Melissa.
NBC News - World - 3 hours ago
UPI - World - 3 hours ago
Path of destruction left by Hurricane Melissa
'The damage is great, but we are going to devote all our energy to mount a strong recovery,' the prime minister of Jamaica wrote.
Sky News - World - 3 hours ago
No Canadians reported dead from Hurricane Melissa, Ottawa offers to help region
The MP overseeing Canada’s foreign aid says that, as of this afternoon, no Canadians have been reported dead as a result of Hurricane Melissa.
CTV News - Top Stories - 3 hours ago
Tourists in Jamaica describe scenes inside Hurricane Melissa shelter
Independent UK - US News - 3 hours ago
Jamaica left devastated by Hurricane Melissa as death toll climbs
People in Jamaica are waking up to the devastation left by Hurricane Melissa, as Prime Minister Andrew Holness declared the entire country a “disaster area". Footage shows entire neighbourhoods flooded, debris piling in the streets, and the roof torn off Sangster International Airport, as the “storm of the century” made landfall on Tuesday (28 October).
Independent UK - US News - 3 hours ago
The deadly combination that made Hurricane Melissa so devastating
Independent UK - US News - 3 hours ago
Where will Hurricane Melissa head after devastating Cuba and Jamaica?
Independent UK - US News - 3 hours ago
Hurricane Melissa devastates Caribbean and leaves dozens dead
Australian Broadcasting Corp - World - 3 hours ago
'Heartbreaking' aerial footage reveals scale of destruction from Hurricane Melissa
In Haiti, 25 people have died after a river burst its banks during Hurricane Melissa. The storm hit Jamaica yesterday, leaving 77% of the island without power. This morning, it swept across Cuba. The extent of the damage across the Caribbean is not yet known. Watch and follow live below.
Sky News - World - 3 hours ago
Hurricane Melissa leaves a trail of destruction in Jamaica; Cuba prepares for impact
Tulsa World - Top Stories - 3 hours ago
Hurricane Melissa: At Least 40 Dead in Haiti, Most Of Jamaica Without Power, As Storm Hits Cuba
Hurricane Melissa hits Cuba after devastating Jamaica. This live blog is now closed.
Newsweek - Top Stories - 3 hours ago
Hurricane Melissa blamed for dozens of deaths; storm departs Cuba headed for Bahamas
Orlando Sentinel - Top Stories - 3 hours ago
Hurricane Melissa kills at least 23 in Haiti, leaves path of destruction in Jamaica and Cuba
The storm left Jamaica with widespread damage and power outages
The Globe and Mail - Top Stories - 3 hours ago
Euronews - World - 3 hours ago
Hurricane Melissa brought dangerous floods and a storm surge to Cuba on Wednesday after leaving Jamaica with widespread power outages and causing flooding that killed at least 23 people in Haiti, officials say.
CBC News - World - 3 hours ago
Hurricane Melissa has left dozens dead and widespread destruction across Jamaica, Haiti and Cuba, as it continues to threaten the Bahamas and Bermuda.
CBS News - World - 4 hours ago
30 dead or missing in Haiti as Caribbean reels from Hurricane Melissa
NZ Herald - Top Stories - 4 hours ago
See photos of the damage from Melissa in the Caribbean
The destructive category 5 storm brings record rainfall and high winds to the Caribbean island nation.
Boston Globe - Top Stories - 4 hours ago
Hurricane Melissa drone footage shows destroyed homes and towns under water
Video shows the destruction in St Elizabeth and Montego Bay, which are among the worst hit places in Jamaica.
BBC News - Top Stories - 4 hours ago
Hurricane Melissa was hitting eastern Cuba hard early Wednesday after slamming Jamaica as a Category 5 storm. Maps show its forecast path.
CBS News - Top Stories - 4 hours ago
See what it's like to fly directly into the eye of Hurricane Melissa
Boston Globe - Top Stories - 4 hours ago
Daily Mail - Top Stories - 5 hours ago
Hurricane Melissa, which struck Jamaica as a Category 5, is among the strongest hurricanes to have formed in the Atlantic since records were kept.
CBS News - World - 5 hours ago
Hurricane Melissa devastates Jamaica, makes its way through Cuba -- Opens in new window
Hurricane Melissa intensified to Category 5 strength Monday as it neared Jamaica, where forecasters said it would unleash catastrophic flooding, multiple landslides and extensive infrastructure damage.
CTV News - Top Stories - 5 hours ago
Hurricane Melissa leaves behind devastation in Jamaica, Cuba
The Globe and Mail - World - 5 hours ago
Hurricane Melissa kills 25 in Haiti after leaving widespread damage in Jamaica
Cuban president warns storm would cause ‘significant damage’ as 735,000 people evacuated in country’s east
Irish Times - World - 5 hours ago
Dozens killed as Hurricane Melissa ravages Cuba, Haiti, Jamaica
Hurricane Melissa left a deadly trail across Cuba, Haiti, and Jamaica, killing dozens and causing massive destruction as residents faced roofless homes,...
Daily Sabah - Top Stories - 5 hours ago
King Charles expresses heartbreak over Hurricane Melissa devastation
King Charles has expressed his deep sorrow over the devastation caused by Hurricane Melissa in Jamaica and across the Caribbean.In a heartfelt statement released through Buckingham Palace on...
International The News - Opinion - 5 hours ago
US rescue teams to descend on hard-hit Caribbean after catastrophic Hurricane Melissa's impact
Fox News - Environment - 6 hours ago
Falcons owner Arthur Blank donates $2.5 million to Hurricane Melissa relief funds
Arthur Blank, owner of the Atlanta Falcons, has pledged an initial $2.5 million through his foundation to aid Hurricane Melissa relief efforts across Jamaica and the Caribbean.
Fox News - Top Stories - 6 hours ago
How to help Jamaica after Hurricane Melissa
ABC News - World - 6 hours ago
People - Entertainment - 6 hours ago
Hurricane Melissa kills 28 in Haiti, ravages Cuba, Jamaica, leaves 500K without power
Follow The Post’s live updates for the latest news on tracking the storm’s path, damage, reactions and photos.
New York Post - World - 6 hours ago
The devastating hurricane hit Jamaica and Haiti before barreling across Cuba.
New York Magazine - Top Stories - 6 hours ago
The Conversation - World - 6 hours ago
Hurricane Melissa leaves dozens dead across Cuba, Haiti and Jamaica
The monster storm has caused widespread destruction, where roofless homes, fallen utility poles and water-logged furniture dominated the landscape.
Sydney Morning Herald - World - 6 hours ago
Texas honeymooners trapped in Jamaica as Hurricane Melissa slams island
What began as a dream honeymoon has turned into a terrifying ordeal for Texas newlyweds Kasydee and Hunter Bishop, who are stranded in Jamaica as Category 5 storm Hurricane Melissa barrels toward...
New York Post - World - 6 hours ago
Shocking images show devastation Hurricane Melissa reaped on Jamaica
Up to 8,000 British citizens on Caribbean island as ‘storm of the century’ causes catastrophic winds and flash flooding
Evening Standard - World - 6 hours ago
Miami New Times - US News - 6 hours ago
latest - | Hurricane Melissa leaves 25 dead in Haiti and causes damage in Jamaica and Cuba
Flooding from Hurricane Melissa has killed 25 people in Haiti while the storm still churned across Cuba on Wednesday after leaving Jamaica with widespread ...
Independent.ie - World - 6 hours ago
Phony AI-generated videos of Hurricane Melissa flood social media sites
These videos and others have racked up millions of views on social media platforms, including X, TikTok, and Instagram.
Boston Globe - Top Stories - 7 hours ago
Apple Valley News Now - World - 7 hours ago
Government launches support plan for farmers affected by Storm Melissa
Dominican Today - Top Stories - 7 hours ago
Hurricane Melissa: 25 dead in Haiti; river bursts banks, homes swept away
Times of India - Top Stories - 7 hours ago
Fierce winds ripped roofs from buildings, and massive boulders crashed down onto roads, cutting off access across the region.
Euronews - World - 7 hours ago
Hurricane Melissa: 25 dead in Haiti floods; river bursts banks, homes swept away
Times of India - World - 7 hours ago
Business Insider - US News - 7 hours ago
Hurricane Melissa - what we know about the damage in Jamaica
The Jamaican authorities are trying to assess the impact of Hurricane Melissa - footage on social media is revealing the scale of the damage left behind
BBC News - Top Stories - 7 hours ago
Hurricane Melissa Death Toll Rising After Jamaica, Cuba and Haiti Hit
In Jamaica, 25,000 people crowded into shelters after the hurricane destroyed homes and left most of the island without power.
Newsweek - World - 7 hours ago
Hurricane Melissa nears the Bahamas after pummeling Jamaica, then Cuba. Follow live updates.
Boston Globe - Top Stories - 7 hours ago
Hurricane Melissa leaves dozens dead in trail of destruction across Cuba, Haiti and Jamaica
New York Daily News - World - 7 hours ago
Powerful Hurricane Melissa Makes Landfall in Jamaica and Cuba
An incredibly powerful hurricane swept through Jamaica on Tuesday, leaving flooding and destruction in its wake. Hurricane Melissa was a Category 5 storm – and was reported to be the strongest storm ever to hit the island nation.
Inside Edition - US News - 7 hours ago
Dream honeymoon turns to nightmare as Hurricane Melissa destroys Texas couple's marriage celebration
Daily Mail - Top Stories - 7 hours ago
Hurricane Melissa to bring high winds, heavy rain to Eastern Canada Friday: forecaster
As Hurricane Melissa makes its way northeast from the Caribbean, a forecaster says residents in Atlantic Canada should prepare for strong winds and heavy rain later this week.
CTV News - Top Stories - 7 hours ago
Hurricane Melissa live updates: Widespread destruction reported in Jamaica
ABC News - Top Stories - 8 hours ago
Powerful Hurricane Melissa Makes Landfall in Jamaica and Cuba -- News
An incredibly powerful hurricane swept through Jamaica on Tuesday, leaving flooding and destruction in its wake. Hurricane Melissa was a Category 5 storm – and was reported to be the strongest storm ever to hit the island nation.
Inside Edition - Top Stories - 8 hours ago
Hurricane Melissa hits Cuba after devastating Jamaica
More than 700,000 people in Cuba have been evacuated, with authorities warning of storm surges and flash flooding.
Sky News - World - 8 hours ago
Hurricane Melissa, strongest storm ever to hit Jamaica, roars onward into Cuba
Dawn - Top Stories - 8 hours ago
Hurricane Melissa hits Cuba after turning Jamaica into 'disaster area'
Guardian UK - World - 8 hours ago
See photos, video from Jamaica after deadly Hurricane Melissa makes landfall as Cat 5
The Advocate - Top Stories - 8 hours ago
25 killed as Hurricane Melissa unleashes catastrophic floods in southern Haiti
ALBAWABA- At least 25 people were killed in southern Haiti after torrential rains from Hurricane Melissa triggered catastrophic flooding, submerging ent
Albawaba - World - 8 hours ago
After Ravaging Jamaica, Hurricane Melissa Isn't Done Yet. Here's What's Next
Gizmodo - Technology - 8 hours ago
After battering Jamaica, Hurricane Melissa makes Cuba landfall
Hurricane Melissa, the strongest storm ever recorded in Jamaica, left a trail of destruction across the island before tearing into eastern Cuba on...
Daily Sabah - World - 8 hours ago
'It has hit us hard': Montego Bay mayor outlines situation on the ground after Hurricane Melissa
Richard Vernon, the mayor of Montego Bay, spoke about the impact of Hurricane Melissa on Jamaica and the destruction the storm left behind. Vernon said the priority is to ensure that there are no casualties or loss of life in the Montego Bay area.
NBC News - Technology - 8 hours ago
Daily Mail - Top Stories - 8 hours ago
25 people have died in southern Haiti after a river flooded by Hurricane Melissa burst its banks, mayor says.
Bay to Bay News - World - 9 hours ago
Hurricane Melissa leaves 25 dead in Haiti, causes widespread damage in Jamaica and Cuba
Flooding from Hurricane Melissa killed 25 people in Haiti while the storm still churned across Cuba on Wednesday after leaving Jamaica with widespread damage.
CNBC - Top Stories - 9 hours ago
US State Department Sends Emergency Teams After Hurricane Melissa Hits Jamaica, Cuba
While the post did not specify which countries the response team would be deployed to, Hurricane Melissa made landfall in Jamaica as a Category 5 storm.
Epoch Times - US News - 9 hours ago
Trump pledges aid as Hurricane Melissa devastates Jamaica and neighboring countries
Dominican Today - Top Stories - 9 hours ago
Horrified meteorologist CURSES live on air upon realizing just how devastating Melissa will be
Daily Mail - Top Stories - 10 hours ago
Disastrous images emerge from Jamaica following direct hit by Hurricane Melissa
ABC News - US News - 10 hours ago
Hurricane Melissa weakens after making landfall in Cuba as Cat 3 storm
The Advocate - Top Stories - 10 hours ago
Hurricane Melissa churns across Cuba as a Category 2 storm
Hurricane Melissa is moving across eastern Cuba as a Category 2 storm.
The Globe and Mail - World - 10 hours ago
Melissa weakens as it churns across Cuba as a Category 2 storm
Tampa Bay Times - World - 10 hours ago
Category 5 storm melissa devastates Jamaica
Euronews - World - 10 hours ago
Relief organization trying to reach Jamaica in wake of Hurricane Melissa
ABC News - World - 10 hours ago
The Latest: Hundreds of thousands evacuate as Hurricane Melissa hits eastern Cuba
Hurricane Melissa made landfall in eastern Cuba as a Category 3 storm after pummeling Jamaica as one of the strongest Atlantic hurricanes on record. Hundreds of thousands have been evacuated in the …
Bay to Bay News - World - 10 hours ago
Daily Mail - Top Stories - 10 hours ago
Alison Hammond issues update as family caught up in Hurricane Melissa
This Morning presenters Alison Hammond and Dermot O'Leary detailed the latest headlines during Wednesday's show.
WalesOnline - Entertainment - 10 hours ago
Hurricane Melissa's 185mph path of destruction devastates Jamaica
Independent UK - Top Stories - 11 hours ago
Daily Mail - Science - 11 hours ago
The Conversation - US News - 11 hours ago
The Conversation - Environment - 11 hours ago
In photos: Hurricane Melissa hits Cuba hours after devastating Jamaica -- Gallery
Hurricane Melissa slammed into Cuba early on Wednesday, hours after causing devastation in neighboring Jamaica as the strongest-ever storm on record to hit that Caribbean island nation.
The Globe and Mail - World - 12 hours ago
Live Science - Top Stories - 12 hours ago
Live Science - Science - 12 hours ago
The Week - Top Stories - 13 hours ago
More of Melissa: Why Intense Hurricanes Are Becoming More Common
Deccan Chronicle - World - 13 hours ago
Hurricane Melissa leaves Jamaica devastated. And, the shutdown's impact on airports
NPR - World - 13 hours ago
Fox News - Top Stories - 13 hours ago
Hurricane Melissa bears down on Cuba after pounding Jamaica
The Caribbean continues to be battered by Hurricane Melissa, one of the strongest Atlantic storms on record. After leaving catastrophic damage in Jamaica, the storm has weakened to a still-powerful Category 3, but Cuban authorities say they are bracing for the worst.
Deutsche Welle - Environment - 13 hours ago
Hurricane Melissa slams Cuba after leaving trail of ruin in Jamaica
Hurricane Melissa slammed into Cuba early on Wednesday, hours after causing devastation in neighboring Jamaica as the strongest-ever storm on record to hit that Caribbean island nation.Melissa hit...
International The News - World - 13 hours ago
In pictures: Hurricane Melissa hits Cuba after causing chaos in Jamaica
Hundreds of thousands left without power in Jamaica as hospitals are forced to evacuate
Irish Times - World - 13 hours ago
Hurricane Melissa lashes Jamaica as Category 5 storm
Hurricane Melissa began lashing Jamaica with violent gusts on Monday as the U.S. National Hurricane Center upgraded it to a Category 5 storm packing sustained winds of 265 kph, the largest on record to slam into the Caribbean island.
The Globe and Mail - World - 13 hours ago
Hurricane Melissa tracked by storm hunters flying into its eye
The U.S. Air Force Reserve's 53rd Weather Reconnaissance Squadron, the 'Hurricane Hunters,' flew through Hurricane Melissa on Monday to collect vital data for the National Hurricane Center.
The Globe and Mail - World - 13 hours ago
Hurricane Melissa bears down on Jamaica
Hurricane Melissa brought intense wind and rain to Jamaica on Tuesday as residents braced for what is expected to be the worst storm to hit the Caribbean island this century.
The Globe and Mail - World - 13 hours ago
Cuba braces itself for Hurricane Melissa after battering Jamaica
Independent UK - US News - 14 hours ago
Visual guide -- Hurricane Melissa: a visual guide to the storm devastating Jamaica and Cuba
Guardian UK - Top Stories - 14 hours ago
Hurricane Melissa makes landfall in Cuba after devastating Jamaica
Hurriyet Daily News - World - 14 hours ago
What we know about Hurricane Melissa that 'ravaged' Jamaica before hitting Cuba
The hurricane, which is now tearing through Cuba, was the first Category 5 storm to hit Jamaica since records began 174 years ago.
Sky News - World - 14 hours ago
Daily Express - World - 15 hours ago
Maryland Jamaican community rallies as Hurricane Melissa devastates island
The Baltimore Sun - US News - 15 hours ago
Category 5 Hurricane Melissa brings flooding and catastrophic winds to Jamaica
Washington Examiner - Top Stories - 15 hours ago
Hurricane Melissa hits Cuba as Jamaican PM declares 'disaster area'
Cuban authorities have evacuated more than 700,000 people as Jamaica’s prime minister declares his nation a ‘disaster area’
Evening Standard - World - 16 hours ago
Daily Mail - World - 16 hours ago
Aftermath of Hurricane Melissa in Jamaica
Footage shows damaged buildings after Hurricane Melissa made landfall in Jamaica.
Sky News - Top Stories - 16 hours ago
Hurricane Melissa charges toward Cuba after devastating Jamaica
Daily Express - World - 16 hours ago
Video: Hurricane Melissa destroys Jamaica's Sangster International Airport
ALBAWABA - Hurricane Melissa, classified as a Category 5 storm, is causing massive floods and destruction in Jamaica.Authorities in Jamaica said that th
Albawaba - World - 16 hours ago
Mass evacuations in Cuba as Hurricane Melissa leaves Jamaica a disaster zone
Hurricane Melissa is regathering strength as it makes way towards Cuba, where mass evacuations are taking place. Jamaica has officially been declared a disaster zone after Melissa swept through as a Category Five storm, weakening to a Category Four. The Caribbean disaster has left at least seven…
SBS - World - 17 hours ago
Lightning inside eye of Hurricane Melissa
Sky News - Top Stories - 17 hours ago
Hurricane Melissa wreaks havoc on Jamaican airport
Footage shows wreckage left by Hurricane Melissa inside Sangster International Airport in Jamaica.
Sky News - Top Stories - 17 hours ago
'Had to tie myself to the bed': Aussie details Hurricane Melissa terror in Jamaica
Hurricane Melissa — one of the most powerful hurricanes on record — has ripped a path of destruction through Jamaica.
SBS - Top Stories - 18 hours ago
Euronews - World - 18 hours ago
Hurricane Melissa charges toward Cuba after pummeling Jamaica with historic power
Hurricane Melissa barreled toward eastern Cuba, where it was expected to make landfall as a major storm early Wednesday after pummeling Jamaica as one of the strongest Atlantic hurricanes on record. …
Bay to Bay News - World - 18 hours ago
Independent.ie - World - 18 hours ago
The Irish Independent's View: Hurricane Melissa's ferocity highlights urgent need for climate action
Independent.ie - Opinion - 18 hours ago
Hurricane Melissa: 'Unstoppable force' batters Jamaica; Cuba on edge as storm nears – 10 key points
Times of India - World - 20 hours ago
Texas honeymooners trapped in Jamaica as Category 5 Hurricane Melissa slams island
Texas newlyweds Kasydee and Hunter Bishop are trapped near Montego Bay, Jamaica, as Hurricane Melissa approaches as a Category 5 storm with 175 mph winds.
Fox News - Environment - 20 hours ago
The US National Hurricane Centre warned of catastrophic, life-threatening conditions, driven by the storm’s slow movement, extreme winds, and intense rainfall and storm surge.
Sydney Morning Herald - World - 21 hours ago
How Hurricane Melissa went from tropical storm to Category 5 in just a few days - January 1, 1970
CBC News - World - 23 hours ago
In pictures -- Hurricane Melissa: huge swells and waves as storm strikes
Guardian UK - Top Stories - 23 hours ago
Hurricane Melissa: 'Storm of the century' takes aim at Cuba after roaring across Jamaica
At its peak, the storm packed ferocious sustained winds of 300km/h.
SBS - Top Stories - 23 hours ago
Crocodiles could invade Jamaican neighborhoods in wake of Hurricane Melissa flooding, officials warn
As the record-breaking Hurricane Melissa brings destructive winds, torrential rain and aggressive storm surge across Jamaica, widespread flooding has Jamaican officials warning of another dangerous and unusual threat: crocodiles.
Fox News - Top Stories - 23 hours ago
Jamaica's strongest-ever storm, Hurricane Melissa, turns to Cuba
The Straits Times - World - 1 day ago
Melissa ties with 2 other storms for strongest hurricane to make landfall in Atlantic
ABC News - US News - 1 day ago
Britons tell of Hurricane Melissa ordeal - as tourists locked down in hotels
Thousands of British tourists are hunkered down in their hotels as Hurricane Melissa passes over Jamaica, while one man paid £3,500 to fly his family back to the UK early.
Sky News - World - 1 day ago
Hurricane Melissa made landfall Tuesday in Jamaica as a fearsome Category 5 storm. Forecasters said it could be the island's "storm of the century."
CBS News - Science - 1 day ago
Hurricane Melissa is slowly moving towards Cuba
Heavy rains hit Cuba hours before Category 4 Hurricane Melissa makes landfall.
Sydney Morning Herald - World - 1 day ago
'Communities warned about crocodiles' during Hurricane Melissa: Jamaica resident
ABC News - World - 1 day ago
Hurricane Melissa: Viral TikTok Video Fuels Fake Shark Sighting in Jamaica
Experts warn against fake content after a fake shark sighting went viral on TikTok amid Hurricane Melissa's landfall in Jamaica.
International Business Times - World - 1 day ago
Hurricane Melissa is expected to hit Jamaica later on Tuesday with sustained winds exceeding 280 km/h. Follow our live coverage.
Sydney Morning Herald - World - 1 day ago
Hurricane Melissa hits Jamaica with life-threatening storm surge: Live
The storm made landfall in the southwestern part of the island, with destructive winds whipping at 185mph
Independent UK - World - 1 day ago
Hurricane Melissa hammers Jamaica after making landfall as Category 5 storm
ABC News - World - 1 day ago
Storm surges of 13 feet (3.9m) above ground level and destructive waves are expected as the storm hits Jamaica.
BBC News - World - 1 day ago
Hurricane Melissa made 'catastrophic' Jamaica landfall with Cuba, Bahamas in sights
Orlando Sentinel - Top Stories - 1 day ago
Heart-stopping detail on live flight map near Hurricane Melissa's eye leaves viewers stunned
Daily Mail - Science - 1 day ago
Hurricane Melissa could turn US attention from 'drug boats' to aid
Independent UK - US News - 1 day ago
Navy Confirms Evacuations As Hurricane Melissa Roared Toward The Caribbean
The Navy has evacuated 864 family members, civilian employees, and contractors from Naval Station Guantánamo Bay as Hurricane Melissa powers toward the Caribbean as a Category 5 storm.
Military.com - US News - 1 day ago
The Navy has evacuated 864 family members, civilian employees, and contractors from Naval Station Guantánamo Bay as Hurricane Melissa powers toward the Caribbean as a Category 5 storm.
Military.com - Opinion - 1 day ago
Watch: Hurricane Melissa peels back roofs from homes in Black River, Jamaica
Fox News - Top Stories - 1 day ago
How Hurricane Melissa Became One of the Most Intense Atlantic Storms on Record
A nearly perfect alignment of factors has enabled Hurricane Melissa to become one of the most intense Atlantic storms ever recorded
Scientific American - Top Stories - 1 day ago
Air Force Videos Capture the Eye of Hurricane Melissa as Catastrophic Storm Hits Jamaica
Gizmodo - Technology - 1 day ago
Hurricane Melissa makes landfall in Jamaica with 185mph winds
Britons urged to alert Foreign Office of presence on island as ‘trillions of gallons’ of water set to fall amid power cuts
Independent UK - World - 1 day ago
Hurricane Melissa Images Reveal a Monster Storm for the Record Books
These images of Hurricane Melissa show the Category 5 storm in all its power
Scientific American - Top Stories - 1 day ago
Weather -- Hurricane Melissa Images Reveal a Monster Storm for the Record Books
These images of Hurricane Melissa show the Category 5 storm in all its power
Scientific American - Science - 1 day ago
Hurricane Melissa makes landfall as Jamaica's strongest-ever storm
The Miami-based hurricane center warned that "total structural failure" was likely in Melissa's path.
Channel NewsAsia - World - 1 day ago
Hurricane Melissa shows need for climate action at Cop30 summit, Cabinet hears
Evening Standard - Politics - 1 day ago
Monster Hurricane Melissa makes landfall in Jamaica
Ferocious winds and torrential rain tore into Jamaica on Tuesday as Hurricane Melissa made landfall, the worst storm ever to strike the island nation and one of the most powerful hurricanes on...
International The News - World - 1 day ago
Melissa strikes Jamaica, tied as most powerful Atlantic storm to come ashore
Ars Technica - Science - 1 day ago
Hurricane Melissa has made landfall in Jamaica as a Category 5 hurricane
ABC News - US News - 1 day ago
Weather -- How Hurricane Melissa Became One of the Most Intense Atlantic Storms on Record
A nearly perfect alignment of factors has enabled Hurricane Melissa to become one of the most intense Atlantic storms ever recorded
Scientific American - Environment - 1 day ago
Hurricane Melissa, strongest in 174 years, makes landfall on Jamaica
Hurricane Melissa intensified Tuesday before making landfall on Jamaica as by far the strongest storm to hit the island since records were first kept 174...
Daily Sabah - World - 1 day ago
Hurricane Melissa: storm makes landfall in Jamaica with sustained winds of 295 km/h
Island’s health and wellness ministry reports there have been three storm-related deaths ahead of landfall
Irish Times - World - 1 day ago
BBC News - Technology - 1 day ago
What to know about Hurricane Melissa
Hurricane Melissa, a Category 5 storm, threatens Jamaica with damaging winds, heavy rain, and flash floods. The storm is expected to track across southeastern Cuba through Wednesday. Melissa is the …
Bay to Bay News - US News - 1 day ago
Hurricane Melissa Is Most Powerful Storm To Hit Jamaica In 174 Years
Parts of the Caribbean are battening down and preparing for an historic weather event. Hurricane Melissa is a Category 5 storm, and the National Hurricane Center says its wind speeds reach up to 180 mph.
Inside Edition - US News - 1 day ago
Video From A Plane Inside Hurricane Melissa Confirms You Don't Want To Be There
The record-breaking storm was expected to make landfall in Jamaica Tuesday morning.
Huffington Post - Science - 1 day ago
Former Miss Jamaica UK fearful as deadly Hurricane Melissa nears
Cherelle Mukoko tries to remain calm from home in London as most powerful storm world has seen this year threatens family
Evening Standard - World - 1 day ago
Hurricane Melissa Is Most Powerful Storm To Hit Jamaica In 174 Years -- News
Parts of the Caribbean are battening down and preparing for an historic weather event. Hurricane Melissa is a Category 5 storm, and the National Hurricane Center says its wind speeds reach up to 180 mph.
Inside Edition - Top Stories - 1 day ago
53rd Weather Reconnaissance Squadron plane flies into eye of Hurricane Melissa
Army Times - Top Stories - 1 day ago
Daily Mail - Science - 1 day ago
Messaging through Hurricane Melissa
I know what's happening on the ground in Jamaica thanks to WhatsApp — ordinarily, a quick and convenient means of staying in touch; under threat of natural a disaster, a lifeline.
Global Voices - Environment - 1 day ago
UK nationals in Jamaica given new update as Hurricane Melissa looms
Independent UK - Politics - 1 day ago
The Globe and Mail - World - 1 day ago
Jamaica prepares for Melissa; Dodgers take World Series lead | Hot off the Wire podcast
Tulsa World - Top Stories - 1 day ago
Hurricane Melissa latest: Jamaica braces for 'storm of the century'
Hurricane Melissa, the most powerful hurricane of the year so far, is hurtling towards Jamaica and is expected to make landfall soon
Evening Standard - World - 1 day ago
Daily Mail - Science - 1 day ago
Arrival of new U.S. Ambassador to the Dominican Republic postponed due to Hurricane Melissa
Dominican Today - Entertainment - 1 day ago
Expected to make landfall in Jamaica on Monday evening or Tuesday morning, Hurricane Melissa is forecast to become a Category 5 hurricane, making it the strongest storm on record for the Caribbean island nation,
Euronews - World - 1 day ago
Daily Mail - Science - 1 day ago
Apple Valley News Now - US News - 1 day ago
Video: Plane flies through world's strongest storm, Hurricane Melissa
Forecasters say the Category 5 storm, Hurricane Melissa is set to be Jamaica’s most destructive on record.
Aljazeera - Environment - 1 day ago
Es probable que la tormenta de categoría 5, que se prevé sea la peor en la historia de Jamaica, tenga efectos catastróficos y consecuencias nefastas para el Caribe, ya que más de 25 millones de personas en Jamaica, Cuba y Haití se encuentran en la trayectoria directa del huracán Melissa.
One America News Network - Top Stories - 1 day ago
Storm devastates Jamaica: Hurricane Hunters film inside eye of Category 5 Melissa — Watch
Times of India - US News - 1 day ago
Melissa's wrath: Jamaica hit by strongest storm in its history amid mass evacuations
Hurricane Melissa surged with sustained winds of 175 mph on Monday, a slow-moving Category 5 storm hurtling toward Jamaica, threatening to become the strongest hurricane ever recorded on the...
International The News - World - 1 day ago
Jamaica Cowers as Category 5 Melissa Bears Down, Supercharged by Warming Seas
Mother Jones - Environment - 1 day ago
Why Hurricane Melissa's intensity and slow-moving speed are a recipe for disaster
NPR - World - 1 day ago
Category 5 Hurricane Melissa Closes In On Jamaica
Weather experts expect potentially catastrophic damage, rainfall, and flooding to hit the island Tuesday morning.
Epoch Times - US News - 2 days ago
Hurricane Melissa is now the strongest storm on the planet this year
Apple Valley News Now - US News - 2 days ago
Weather -- Why Hurricane Melissa Could Be the Worst Storm to Ever Hit Jamaica
Category 5 Hurricane Melissa’s exceptional strength and slow pace could make it more destructive than Hurricane Gilbert, which hit Jamaica in 1988
Scientific American - Environment - 2 days ago
With sustained winds of 260 kilometers per hour, Melissa is expected to make landfall early on Tuesday. Mandatory evacuation orders have been issued for several parts of the island and residents are being told to head to shelters. Forecasters are warning of catastrophic flooding, landslides and extensive damage.
Deutsche Welle - Science - 2 days ago
Hurricane Melissa bears down on Jamaica as possibly the island's strongest recorded storm
Chicago Tribune - Top Stories - 2 days ago
Hurricane Melissa: 'Jamaica faces its most destructive storm yet'
Evening Standard - Opinion - 2 days ago
Hurricane Melissa is on its way to Jamaica as a Category 5 storm. It's expected to bring torrential rains and catastrophic flooding.
Deutsche Welle - Science - 2 days ago
This is only the second time we’ve had more than two Category 5 storms in a single Atlantic hurricane season
Scientific American - Environment - 2 days ago
Hurricane Melissa Could Make 3 Landfalls in 3 Days, Ravaging the Caribbean
Gizmodo - Technology - 2 days ago
Melissa set to be the strongest hurricane to ever strike Jamaica
Storm reached sustained winds of 160 mph on Monday morning.
Ars Technica - Science - 2 days ago
Weather -- Category 5 Hurricane Melissa Will Drop Catastrophic Amounts of Rain on Jamaica
Melissa is a Category 5 major hurricane and moving relatively slow—a brutal combination that will drench some parts of Jamaica with up to 40 inches of rain
Scientific American - Environment - 2 days ago
Hurricane Melissa threatens catastrophic flooding in Jamaica and Haiti
Expected to make landfall in Jamaica on Monday evening or Tuesday morning, Hurricane Melissa is forecast to become a Category 5 hurricane, making it the strongest storm on record for the Caribbean island nation,
Euronews - Environment - 2 days ago
Apple Valley News Now - US News - 2 days ago
Hurricane Melissa strengthens to Category 5 storm: NHC
Washington: Hurricane Melissa strengthened Monday to the maximum Category 5, the US National Hurricane Center said while warning of catastrophic floo...
Peninsula Qatar - US News - 2 days ago
Melissa has turned into a Category 5 storm as it heads for Jamaica and other parts of the Caribbean.
Melissa has turned into a Category 5 storm as it heads for Jamaica and other parts of the Caribbean. It is expected to cause torrential downpours and catastrophic flooding.
Deutsche Welle - Science - 2 days ago
Daily Mail - Science - 2 days ago
Hurricane Melissa 'rapidly intensifies' as holiday spot braces for huge 25in of rain
Daily Express - World - 2 days ago
Category 4 Hurricane Melissa threatens catastrophic flooding in Jamaica and Haiti
The Baltimore Sun - Politics - 2 days ago
Hurricane Melissa may hit Category 5, inundate northern Caribbean
New York Daily News - World - 3 days ago
Watch a live tracker of Hurricane Melissa as it moves toward Jamaica and Southeastern Cuba.
NBC News - Business - 3 days ago
Hurricane Melissa strengthens as it crawls toward Jamaica
Kingston, Jamaica: Hurricane Melissa was cutting a deadly path through the Caribbean on Sunday, strengthening into a Category 4 storm as it crawled al...
Peninsula Qatar - US News - 3 days ago
US East Coast on high alert as deadly Storm Melissa threatens several states with pounding waves
Daily Mail - Science - 5 days ago
Daily Mail - Science - 5 days ago
Health Ministry urges preventive measures to avoid disease outbreaks amid Tropical Storm Melissa
Dominican Today - Entertainment - 5 days ago
Daily Mail - Science - 7 days ago
The Conversation - Environment - 2 months ago
“When I think about the theme artist title, I don’t think about being the first Black anything. [It's] about telling Althea Gibson’s story...she’s the blueprint for Black women in tennis.”
Global Voices - Sports - 2 months ago






